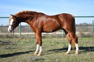
Pleasant Hill Leading Lady (Pecan Creek’s Standing Ovation x Bristol Fandango)
Lady is multi-champion 2009 Section B Black Mare. Black with a big blaze and two white socks. She is a beautiful mover and passes this on to her foals. Lady is a medium, standing right at 13-2. She has been bred to a variety of stallions and never fails to produce an excellent foal (foals pictured below).
Lady has now moved to another zip code, but I will leave her on this page as she has been such as integral part of our breeding program here. She remains the “leading lady” for sure.
A beautiful black filly for Lady and Bucky! Born 3/22/26 Check foals page for pictures and updates as she grows. She is available at weaning.

(aka FLF Star of the Show)







Pleasant Hill Charter Chic (Telynau Royal Charter x Pleasant Hill Leading Lady)
2015 Bay Section B mare. I love this beautiful mare, out of one of my favorites, Leading Lady, sired by the incomparable Telynau Royal Charter. Fancy, as she is known around here, is full of type and substance. She stands at 13-2. She has given us two outstanding fillies so far, and now add a very fancy colt.
Fancy is confirmed in foal for 2026 to Pleasant Hill Prime Time! (see youngstock page for further info and on him)



Rosmel’s Little Black Dress (Kobur Naiche x Rosmel’s Bonnie Dancer)
2015 Homozygous Black Section B mare. Affectionately now nicknamed “Blondie”. A beautiful mare with a kind and gentle nature. She is a nice size girl, standing at 13-3 1/2 hands. So pleased to have a daughter of the beautiful Bonnie Dancer. All her foals, so far, have inherited her easy-going nature.
Blondie is confirmed in foal for 2026 to Pleasant Hill Prime Time! (see youngstock page for further info and on him)




High Hopes Mercedes (High Hopes Bugatti x High Hopes Encore)
2018 Section B perlino mare. Perl came to us from High Hopes Farm in New York. She is color tested black with recessive red, two copies of the cream gene, and two copies of the agouti gene. She will produce either palominos or buckskins when bred to chestnut, black, or bay stallions. She has good size, measuring close to 14 hands as a 4 year old. Great movement and structure on this girl. Perl’s first foal, by Clanfair Classic Chrome, is a big handsome buckskin colt with superb movement. He has been retained as a stallion prospect and is bred to several mares for 2026. Perl’s 2024 buckskin colt was superb as well, and now resides on the East Coast. Can’t wait to see what 2026 brings. See youngstock page for more info on Bucky (Pleasant Hill Prime Time).
A beautiful long legged buckskin filly for Seren Geti and Perl. Born 4/08/26. She will be available after weaning. Check foal pages for pictures and more information.





























